Cortellis Clinical Trials Intelligence
臨床試験を初日から成功へと導きます。
臨床試験計画を最適化し、成功確率を向上
臨床試験プロトコル、実施医療機関、アウトカム、評価項目などの情報収集や解析に要する時間を短縮し、臨床試験の計画とデザインに自信をもって取組むことができます。
理想的な臨床試験プロトコルの設計
経験豊富な業界アナリストがキュレーションした信頼性の高い臨床試験データを使用することで、臨床試験の計画と適切な評価項目の選択ができます。
患者にアクセスできる、経験のある施設の特定
標的とする対象集団の患者募集の実績に基づいて、信頼性の高い経験豊富な臨床試験実施医療機関を特定できます。
徹底した臨床試験実施可能性分析の実施
疫学的データ、施設の利用可能性、患者募集結果を統合した広範な施設情報を評価することで、適切な試験実施計画、実施施設、患者集団の理解を促進します。
臨床開発の決断の加速
答えを瞬時に見いだす
60万以上の世界中の臨床試験を網羅する、検索可能で詳細にインデックス化された臨床試験コンテンツ。
包括的な疾患カバレッジ
他では見つけられない、希少疾患やオーファンドラッグの臨床試験データを含む、30以上の疾患領域に関する臨床試験を網羅しています。
専門家チーム
ライブチャットや平日24時間のサポートサービスを通じて、製品スペシャリストまたは専門家と繋がることができます。
革新的な臨床試験インテリジェンス
理想的な臨床試験実施施設を見つける
理想的な施設の特定、選択、分析に有用な、エンドツーエンドの臨床業務ワークフロー。200ヵ国の277,000以上の施設を網羅し、米国の保険請求データと疫学的洞察が統合されています。
特定の疾患領域における競合臨床試験戦略の追跡
疾患領域、患者セグメント、臨床試験デザイン、被験者募集状況、作用機序別等の視点で競合する臨床試験を調査できます。臨床試験が実施されている施設と終了予定日を把握し、評価項目が達成された試験および未達の試験の比較を通じ、より良好な臨床試験を計画できます。
臨床試験を成功に導く
主要評価項目の達成と被験者募集状況を含む主要なマイルストーンを追跡することで、タイムラインや評価項目を基準とした臨床試験のベンチマークが行えます。1つの臨床試験で報告されているすべての評価項目を理解し、臨床試験の成功または失敗の原因を分析できます。
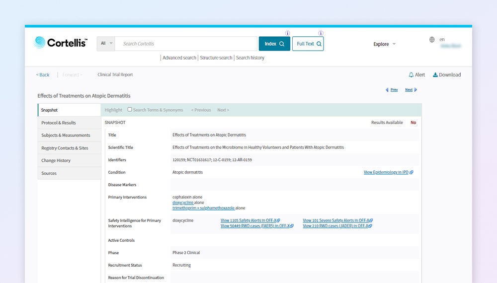
臨床試験プロトコルの詳細な調査
臨床試験のプロトコル、結果、適格/除外基準、患者セグメント、治療効果の測定方法、実施施設、バイオマーカー、使用機器などを含む包括的な臨床試験レポートにアクセスできます。
お問い合わせ
クラリベイトの製品へのお問い合わせは随時受付けております。お気軽にお問い合わせください。
600,000+
813,000+
89,000+
46,000+
リソース
Cortellisによって、臨床オペレーションチームがCROからの情報を検証できるようになるため、希少疾患領域における施設の実績や患者募集戦略について、より豊富な情報に基づいた議論が可能となります。
Biopharma company focused on rare diseases
Cortellisによって、臨床オペレーションチームはより自信を持って治験実施施設の選定を決定できます。
Information professional Global biotech company
Cortellisは、私たちが探していた希少疾患領域のカバレッジを提供してくれます。データベースに搭載された分析と被験者登録データが、施設レベルでの登録者予測を可能にしてくれます。
Information professional Global biotech company
Trial Timelineビューアは特に好評で、シニアマネジメントと共有できるグラフィックスを迅速に作成することができます。クラリベイトのチームが、2017年第1四半期以降の被験者登録所要期間と登録進捗率を提供していることにも満足しており、現在までに収集されている臨床試験数には感心させられています。
US-based biopharma company
Clarivateが提供するソリューション
医薬品の研究室から臨床現場への移行を成功させます。
Fraud Warning
Please be advised that recently there have been fraudulent job offers and interviews using the Clarivate name, logo and even names of our colleagues.
Please be aware that Clarivate will:
- Never ask for payment of any kind as part of our hiring or onboarding processes
- Never ask an applicant to email sensitive personal information, such as a Social Security Number, birthdate, credit card or bank account information
- Never issue pre-employment checks to purchase office supplies
- Never ask you to pay up for an external course and upskill
If you have any question about a position posted in our company name, please check our current open positions on the Clarivate website Careers pages or contact one of our recruiting team members directly.
If you have been the victim of a scam, please contact your local law enforcement agency.
Federal Transparency In Coverage Rule
This link leads to the machine-readable files that are made available in response to the federal Transparency in Coverage Rule and includes negotiated service rates and out-of-network allowed amounts between health plans and healthcare providers. The machine-readable files are formatted to allow researchers, regulators, and application developers to more easily access and analyze data.